KJAN News can be heard at five minutes after every hour right after Fox News 24 hours a day!
Keep up-to-date with Fox News Radio, Radio Iowa, Brownfield & the Iowa Agribusiness Networks!
KJAN News can be heard at five minutes after every hour right after Fox News 24 hours a day!
Keep up-to-date with Fox News Radio, Radio Iowa, Brownfield & the Iowa Agribusiness Networks!
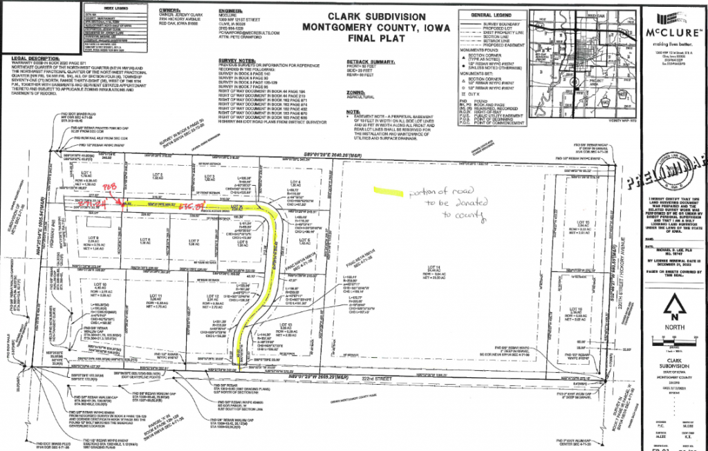
(Red Oak, Iowa) – The Board of Supervisors in Montgomery County are set to meet at 8:30-a.m., Tuesday** On their agenda are two items that pertain to 220th Street. The first is action on approving the donation of a portion of Clark Subdivision road to be called 220th Street. The second is approving an aggregate agreement with Jeremy Clark for the upgrade of the portion of 220th Street donated to the county. (shown below or here:220th Street Map)

In other business, the Board will discuss the removal of a fence on the County Farm, with action as necessary.
Their next regular weekly meeting takes place Wednesday, Nov. 6th, at 8:30-a.m.
**Please note, this is a public meeting; however, it may be conducted via ZOOM
Join Zoom Meeting
https://us02web.zoom.us/j/85039693411
Meeting ID: 850 3969 3411
Dial by your location +1 312 626 6799 If you are calling in, Press *9 to raise your hand if you wish to speak.31
(Red Oak, Iowa) – No injuries were reported following a collision at around 12:40-p.m. Saturday, in Red Oak. Authorities say the accident happened in the 1700 block of N. Broadway Street, when a 2008 Pontiac Vibe traveling north on N. Broadway and driven by 61-year-old Aneta S. Parker-Housman, of Red Oak, turned to head east onto an unnamed road. Her vehicle was struck by a 1998 Ford Crown Victoria that was traveling north and driven by 20-year-old Owen Nathaniel Turnbull, of Red Oak.
The Ford struck the Pontiac on the front driver’s side. Damage amounted to $5,000 altogether. Red Oak Police cited Parker-Housman for Unsafe Turn or Failure to Give signal.
(Red Oak, Iowa) – Red Oak Police report three recent arrests. At around 3:30-a.m. Sunday (Oct. 27th), Police in Red Oak arrested 50-year-old Shannon Ray Porter, of Red Oak, for one count of Trespassing/1st offense, and one count of Possession of Drug Paraphernalia. Porter was being held in the Montgomery County Jail on a $300 bond.
Saturday afternoon, Red Oak Police arrested 27-year-old Destiny Jill Anderson, of Red Oak, following a traffic stop at 2nd and Broadway. Anderson was taken into custody for Driving While Barred. She was being held in the Montgomery County Jail on a $2,000 bond.
And, Friday night, Red Oak Police officers arrested 31-year-old Steven Austin Ripley, of Red Oak, for Domestic Abuse Assault/1st offense. Ripley was being held without bond in the Montgomery County Jail.
(Ames, Iowa) – An Iowa State University researcher has received national support to take a deeper dive into a gene that helps plants thrive and survive in the face of environmental threats, with the goal of creating more resilient crops to feed the world. According to the Iowa Capital Dispatch, Michelle Guo, an assistant professor of genetics, development and cell biology at ISU, has spent almost 20 years researching a gene found in plants called Feronia, which impacts many different plant functions and processes. Now, with an almost $2 million grant, Guo and her fellow researchers are looking at the gene in different cell types to try and shut down certain functions while keeping others.
The gene has a hand in ensuring plants both grow well and can protect themselves from stress, Guo said. For example, removing or disrupting the gene creates what she called a “dwarf plant,” and the plant would also become more sensitive to things like salt, which would impact its growth.
Guo received a five-year, $1.8 million grant from the National Institute of General Medical Sciences in order to support her research. The grant, called Maximizing Investigators’ Research Award for Early Stage Investigators (MIRA), doesn’t fund a specific project or area of study, but rather funds Guo directly, so she can utilize the award however she needs.
Feronia has “been in the public eye” for about 20 years and Guo been researching it for nearly that long alongside other groups. Gua said she hopes other researchers are approaching the work from different angles so they could eventually inform other people’s research.

Iowa State University professor and researcher Michelle Guo is researching a specific plant gene in order to try and make plants more resilient under stress. (Photo by Brooklyn Draisey/Iowa Capital Dispatch)
With the effects of climate change becoming more and more apparent, Guo said it’s more important than ever that crops become able to produce large yields even when they’re in less-than-ideal conditions. Creating a more food-secure world is the ultimate goal behind this research, along with helping young scientists further their careers by completing and publishing their work on this important subject.
(Des Moines, Iowa) – The Iowa Department of Agriculture and Land Stewardship announced Friday it had “depopulated” birds from Pure Prairie Poultry, Inc., which had previously informed the department it was unable to purchase feed for its broiler chickens and closed its processing plant in Charles City.
The Iowa Capital Dispatch reports, fearing animal welfare concerns, the department intervened Oct. 2 and took over the care, custody and control of the 1.3 million birds, located across 13 Iowa farms. The same day, Pure Prairie Poultry Inc. shuttered its Charles City processing plant and laid off its employees.
Pure Prairie Poultry received $45.6 million from U.S. Department of Agriculture in 2022 to expand the Charles City processing plant. Iowa’s USDA Rural Development office celebrated the expansion with a ribbon cutting in July 2024, just two months before it filed for bankruptcy.
Iowa Secretary of Agriculture Mike Naig commented on the situation in a statement Friday, saying:
“This is an incredibly unfortunate situation and raises serious questions about USDA’s oversight of taxpayer dollars. Congress should exercise its oversight authority to ensure that something like this does not happen again and that those responsible are held accountable.”
A press release said the closure of the plant sent the department searching for a buyer and processor, which was difficult, “due to the structure of the broiler industry.”

According to court filings in the Third Judicial District Court of Iowa located in Sioux County, IDALS reached an agreement with Tyson Foods. It stipulated that IDALS would cover care costs for the chicken until they reached market weight, then Tyson would handle catching, loading and transportation of the birds to a processing plant. The filings state Tyson would have purchased the birds for 50 cents per bird, which was half of the company’s original offer.
Some of the growers contracted by Pure Prairie Poultry indicated they would argue their lien rights on the birds, which the court filings said, “caused Tyson to reconsider the agreement for fear of future litigation” and eventually rescinded its offer.
With mounting costs of caring for the 1.3 million birds, IDALS asked the court to authorize the department to pursue depopulation, or culling the birds. Culling of the birds began Oct. 17 by licensed veterinarians employed by the department and concluded Oct. 25th. The department has spent over $1 million in dealing with the birds so far, but Don McDowell, IDALS communications director, said the anticipated figure is over $2 million, as many of the expenses have yet to be paid. These costs include feed, farmer contracts, depopulation, disposal, personnel expenses, and mileage.
(Red Oak, Iowa) – Montgomery County Auditor Jill Ozuna reminds persons wanting to vote in the November 5th General election, the deadline to request an absentee ballot by mail is 5 p.m. on Monday, October 21st. This is also voter pre-
registration deadline.
If you do not register to vote before October 21, 2024, you can register on Election Day or if you vote absentee in-person at the Auditor’s office. You must provide proof of both your identity and residency. If your license has an old address on it, you can use the license as proof of identity and use one of the following as proof of residence if it contains your name and current address: Current residential lease, Property tax statement, Utility bill (including a cell phone bill), bank statement, paycheck, government check, or other government documents (vehicle registration, tax assessment, etc.).
If you do not have an Iowa driver’s license, you can provide another form of ID if it contains your photo, is current, valid, and hasn’t expired or lists “None” as the expiration date. Temporary paper licenses or IDs issued by the IDOT are acceptable.
Saturday, November 2, 2024 – Auditor’s office is open from 8 a.m. – 5 p.m. for absentee voting and election
business.
If you have any questions, please contact the Auditor’s office at 712-623-5127.
***************
List of Candidates for Montgomery County:
CANDIDATES FILED
General Election November 5, 2024
County Offices ONLY
Supervisor District #3 (Vote for 1)
Supervisor District #5 (Vote for 1)
Montgomery County Auditor (Vote for 1)
Montgomery County Sheriff (Vote for 1)
Hospital Trustee (Vote for 3) – No candidates have filed (NCF)
County Agricultural Extension Council (Vote for 4) – NCF
Soil and Water Conservation Board (Vote for 3) – NCF
Township Clerks and Trustees
Lincoln Township Trustee (Vote for 2) – NCF
Garfield Township Trustee (Vote for 2) – NCF
West Township Trustee (Vote for 2) – NCF
Sherman Township Trustee (Vote for 2) – NCF
Red Oak Township Trustee (Vote for 2) – NCF
Grant Township Trustee (Vote for 2) – NCF
Pilot Grove Township Clerk – TFV (Vote for 1) Two-year term – NCF
Pilot Grove Township Trustee (Vote for 2) – NCF
Frankfort Township Trustee (Vote for 2) – NCF
Washington Township Trustee (Vote for 2) – NCF
East, Douglas, and Scott Townships are appointed by the Board of Supervisors.
(Radio Iowa) – The Hy-Vee supermarket chain is removing self checkout stations from some stores. A spokesperson for Hy-Vee say they have started removing the self checkouts from some stores, but they do not have a final number. The spokesperson says they “want to provide a better customer experience in several of our stores by bringing back the face-to-face interaction with our employees that we had pre-COVID.”
A clerk in a central Iowa store told Radio Iowa the self checkouts were being removed over concerns about theft.
The Hy-Vee spokesperson would not confirm that, saying there have been national stories about retailers doing this, however, she says their main focus is to provide them the best service possible. 
(Radio Iowa) – The Internal Revenue Service is encouraging Iowans to take a simple, important step to prepare for the upcoming tax season. I-R-S spokesman Christopher Miller says people should sign up now for what’s known as an Identity Protection Personal Identification Number, or an I-P PIN.
Miller says it’s a quick, free process to set one up.
He recommends you sign up for the PIN before November 23rd, as sign up won’t be available again until early January.
Learn more about the option at irs-dot-gov. 
(Radio Iowa) – The chairman of the Emmet County Board of Supervisors says there will be revisions in a proposed ordinance to restrict where wind turbines may be placed. The board held a public hearing Thursday night on the initial proposal from Emmet County’s Planning and Zoning Commission. Tim Busch, director of the Aviation Program at Iowa Lakes Community College, says he’s not opposed to wind turbines, but he asked the board to be cautious about allowing towers in areas that could impede take offs and landings.
Eight other speakers expressed concerns about the ordinance and three people spoke in favor of wind energy. Todd Glasnapp, chairman of the Emmet County Board of Supervisors, says requiring greater distances between wind turbines and homes and other dwellings is likely to be the biggest adjustment in the ordinance.
Last week, the board approved a moratorium on any new wind energy applications in Emmet County until January 31st, 2025 — to give the supervisors time to update the county’s wind ordinance.

Pictured Left to Right: Kelsey Beschorner, Sue Liston, Kathie Hockenberry, Elaine Otte, LeAnn Erickson, Lana Westphalen, Krysta Hanson, Megan Sramek, Dolly Bergmann, Chris Parks, Chelsie Rush, Dr. Keith Leonard, Jeff Christensen, Julie Waters, Jeremy Butler, Jim Kickland, Bill Saluk, BJ Hart